SCOTCAT.COM  

your internet guide to all things catfish
≡
  • HOME
  • FACTSHEETS
    • By Month/Year
    • By Family
    • by Genus
    • by Common Names
    • By Specific Names
    • By Continent
      • Index
      • Africa
      • Asia
      • Australasia
      • Europe
      • North America
      • South America
  • GALLERIES
    • Photo Gallery
    • Art Gallery
    • Movie Gallery
    • Stamps Gallery
  • FAMILIES
    • A-B
      • Ailiidae
      • Akysidae
      • Amblycipitidae
      • Amphiliidae
      • Anchariidae
      • † Andinichthyidae
      • Ariidae
      • Aspredinidae
      • Astroblepidae
      • Auchenipteridae
      • Auchenoglanididae
      • Austroglanididae
      • Bagridae
    • C-D
      • Callichthyidae
      • Cetopsidae
      • Chacidae
      • Clariidae
      • Claroteidae
      • Cranoglanididae
      • Diplomystidae
      • Doradidae
    • H-I
      • Heptapteridae
      • Heteropneustidae
      • Horabagridae
      • Ictaluridae
    • K-L-M
      • Kryptoglanidae
      • Lacantuniidae
      • Loricariidae
      • Malapteruridae
      • Mochokidae
    • N-P
      • Nematogenyidae
      • Pangasiidae
      • Phreatobiidae
      • Pimelodidae
      • Plotosidae
      • Pseudopimelodidae
    • R-S-T
      • Ritidae
      • Schilbeidae
      • Scoloplacidae
      • Siluridae
      • Sisoridae
      • Trichomycteridae
  • ARTICLES
    • Index
    • Breeding
    • By Author
    • Cat-Articles
    • General
    • Numbered List
    • Ichthyology
    • Travel/Collecting
  • IDENT-A-CAT
  • RESOURCES
    • Citation
    • Etymology
    • Fishhouse
    • Glossary
    • Scientific Papers
    • ScotShop
  • SITE MAP
  • FB GROUP
  • HELP
    • Index
    • Catfish Anatomy
    • Convertors
    • FAQ
    • Ident-A-Cat
    • Water Chemistry

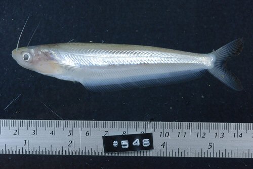
Kryptopterus geminus Ng, 2003

 

Kryptopterus geminus

 ©  Fishes of Mainland South East Asia

 


Back to Family page Back to Species page


Family: Siluridae  Back to Ident-A-Cat  Click on Thumbnails

Click for full image Kryptopterus geminus

Click for full imageKryptopterus geminus

Click for full imageKryptopterus geminus

 

If you would like to contribute to the monthly factsheets with an article, information or photos, please e-mail me. You will of course be credited for your work.

 

Donate towards my web hosting bill!

 

If you would like to donate any denomination of monies to the site just click the above link button. All proceeds will go to running the site and hopefully to keep it going for a few years yet.

  • Facebook about us + contact us + citation + translate + site map + scotshop + glossary + etymology +
  • help YouTube

©2026 SCOTCAT.COM