SCOTCAT.COM  

your internet guide to all things catfish
≡
  • HOME
  • FACTSHEETS
    • By Month/Year
    • By Family
    • by Genus
    • by Common Names
    • By Specific Names
    • By Continent
      • Index
      • Africa
      • Asia
      • Australasia
      • Europe
      • North America
      • South America
  • GALLERIES
    • Photo Gallery
    • Art Gallery
    • Movie Gallery
    • Stamps Gallery
  • FAMILIES
    • A-B
      • Ailiidae
      • Akysidae
      • Amblycipitidae
      • Amphiliidae
      • Anchariidae
      • † Andinichthyidae
      • Ariidae
      • Aspredinidae
      • Astroblepidae
      • Auchenipteridae
      • Auchenoglanididae
      • Austroglanididae
      • Bagridae
    • C-D
      • Callichthyidae
      • Cetopsidae
      • Chacidae
      • Clariidae
      • Claroteidae
      • Cranoglanididae
      • Diplomystidae
      • Doradidae
    • H-I
      • Heptapteridae
      • Heteropneustidae
      • Horabagridae
      • Ictaluridae
    • K-L-M
      • Kryptoglanidae
      • Lacantuniidae
      • Loricariidae
      • Malapteruridae
      • Mochokidae
    • N-P
      • Nematogenyidae
      • Pangasiidae
      • Phreatobiidae
      • Pimelodidae
      • Plotosidae
      • Pseudopimelodidae
    • R-S-T
      • Ritidae
      • Schilbeidae
      • Scoloplacidae
      • Siluridae
      • Sisoridae
      • Trichomycteridae
  • ARTICLES
    • Index
    • Breeding
    • By Author
    • Cat-Articles
    • General
    • Numbered List
    • Ichthyology
    • Travel/Collecting
  • IDENT-A-CAT
  • RESOURCES
    • Citation
    • Etymology
    • Fishhouse
    • Glossary
    • Scientific Papers
    • ScotShop
  • SITE MAP
  • FB GROUP
  • HELP
    • Index
    • Catfish Anatomy
    • Convertors
    • FAQ
    • Ident-A-Cat
    • Water Chemistry

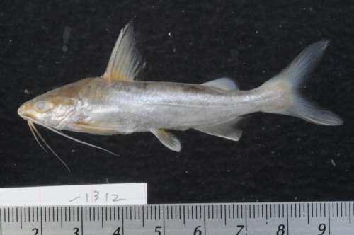
 Arius venosus Valenciennes, 1840

 

Arius venosus = Vietnam

© Dinh D. Tran @ Fishes of Mainland South East Asia / Creative Commons

 


Back to Family page Back to Species page


Family: Ariidae  Back to Ident-A-Cat  Click on Thumbnails

Click for full imageArius venosus
Vietnam
Click for full imageArius venosus
Jalan Legaran Penambang, Mersing, Johore, MY.

 

If you would like to contribute to the monthly factsheets with an article, information or photos, please e-mail me. You will of course be credited for your work.

 

Donate towards my web hosting bill!

 

If you would like to donate any denomination of monies to the site just click the above link button. All proceeds will go to running the site and hopefully to keep it going for a few years yet.

  • Facebook about us + contact us + citation + translate + site map + scotshop + glossary + etymology +
  • help YouTube

©2026 SCOTCAT.COM