SCOTCAT.COM  

your internet guide to all things catfish
≡
  • HOME
  • FACTSHEETS
    • By Month/Year
    • By Family
    • by Genus
    • by Common Names
    • By Specific Names
    • By Continent
      • Index
      • Africa
      • Asia
      • Australasia
      • Europe
      • North America
      • South America
  • GALLERIES
    • Photo Gallery
    • Art Gallery
    • Movie Gallery
    • Stamps Gallery
  • FAMILIES
    • A-B
      • Ailiidae
      • Akysidae
      • Amblycipitidae
      • Amphiliidae
      • Anchariidae
      • † Andinichthyidae
      • Ariidae
      • Aspredinidae
      • Astroblepidae
      • Auchenipteridae
      • Auchenoglanididae
      • Austroglanididae
      • Bagridae
    • C-D
      • Callichthyidae
      • Cetopsidae
      • Chacidae
      • Clariidae
      • Claroteidae
      • Cranoglanididae
      • Diplomystidae
      • Doradidae
    • H-I
      • Heptapteridae
      • Heteropneustidae
      • Horabagridae
      • Ictaluridae
    • K-L-M
      • Kryptoglanidae
      • Lacantuniidae
      • Loricariidae
      • Malapteruridae
      • Mochokidae
    • N-P
      • Nematogenyidae
      • Pangasiidae
      • Phreatobiidae
      • Pimelodidae
      • Plotosidae
      • Pseudopimelodidae
    • R-S-T
      • Ritidae
      • Schilbeidae
      • Scoloplacidae
      • Siluridae
      • Sisoridae
      • Trichomycteridae
  • ARTICLES
    • Index
    • Breeding
    • By Author
    • Cat-Articles
    • General
    • Numbered List
    • Ichthyology
    • Travel/Collecting
  • IDENT-A-CAT
  • RESOURCES
    • Citation
    • Etymology
    • Fishhouse
    • Glossary
    • Scientific Papers
    • ScotShop
  • SITE MAP
  • FB GROUP
  • HELP
    • Index
    • Catfish Anatomy
    • Convertors
    • FAQ
    • Ident-A-Cat
    • Water Chemistry

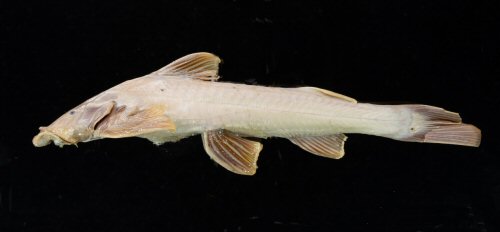
Glyptothorax striatus (McClelland, 1842)

 

Glyptothorax striatus

 ©  Fishes of Mainland South East Asia

 


Back to Family page Back to Species page


Family: Sisoridae  Back to Ident-A-Cat  Click on Thumbnails

Click for full imageGlyptothorax striatus
Click for full imageGlyptothorax striatus
Click for full imageGlyptothorax striatus
Head view
Click for full imageGlyptothorax striatus
Ventral view of the striated sucker on the breast
Click for full imageGlyptothorax striatus
Click for full imageGlyptothorax striatus


If you would like to contribute to the monthly factsheets with an article, information or photos, please e-mail me. You will of course be credited for your work.

 

Donate towards my web hosting bill!

 

If you would like to donate any denomination of monies to the site just click the above link button. All proceeds will go to running the site and hopefully to keep it going for a few years yet.

  • Facebook about us + contact us + citation + translate + site map + scotshop + glossary + etymology +
  • help YouTube

©2025 SCOTCAT.COM