SCOTCAT.COM  

your internet guide to all things catfish
≡
  • HOME
  • FACTSHEETS
    • By Month/Year
    • By Family
    • by Genus
    • by Common Names
    • By Specific Names
    • By Continent
      • Index
      • Africa
      • Asia
      • Australasia
      • Europe
      • North America
      • South America
  • GALLERIES
    • Photo Gallery
    • Art Gallery
    • Movie Gallery
    • Stamps Gallery
  • FAMILIES
    • A-B
      • Ailiidae
      • Akysidae
      • Amblycipitidae
      • Amphiliidae
      • Anchariidae
      • † Andinichthyidae
      • Ariidae
      • Aspredinidae
      • Astroblepidae
      • Auchenipteridae
      • Auchenoglanididae
      • Austroglanididae
      • Bagridae
    • C-D
      • Callichthyidae
      • Cetopsidae
      • Chacidae
      • Clariidae
      • Claroteidae
      • Cranoglanididae
      • Diplomystidae
      • Doradidae
    • H-I
      • Heptapteridae
      • Heteropneustidae
      • Horabagridae
      • Ictaluridae
    • K-L-M
      • Kryptoglanidae
      • Lacantuniidae
      • Loricariidae
      • Malapteruridae
      • Mochokidae
    • N-P
      • Nematogenyidae
      • Pangasiidae
      • Phreatobiidae
      • Pimelodidae
      • Plotosidae
      • Pseudopimelodidae
    • R-S-T
      • Ritidae
      • Schilbeidae
      • Scoloplacidae
      • Siluridae
      • Sisoridae
      • Trichomycteridae
  • ARTICLES
    • Index
    • Breeding
    • By Author
    • Cat-Articles
    • General
    • Numbered List
    • Ichthyology
    • Travel/Collecting
  • IDENT-A-CAT
  • RESOURCES
    • Citation
    • Etymology
    • Fishhouse
    • Glossary
    • Scientific Papers
    • ScotShop
  • SITE MAP
  • FB GROUP
  • HELP
    • Index
    • Catfish Anatomy
    • Convertors
    • FAQ
    • Ident-A-Cat
    • Water Chemistry

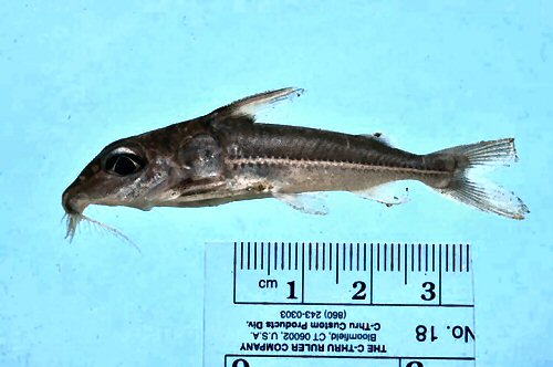
Doras carinatus (Linnaeus, 1766)

 

Doras carinatus

 © Whit Bronaugh @ Oregon State University

 


Back to Family page Back to Species page


Family: Doradidae  Back to Ident-A-Cat  Click on Thumbnails

Click for full image Doras carinatus
Click for full imageDoras carinatus
Head view-from the Oyapock
Click for full imageDoras carinatus
From the Oyapock
Click for full imageDoras carinatus
Guyana, Cuyuni River
Click for full imageDoras carinatus
Guyana, Essequibo River


If you would like to contribute to the monthly factsheets with an article, information or photos, please e-mail me. You will of course be credited for your work.

 

Donate towards my web hosting bill!

 

If you would like to donate any denomination of monies to the site just click the above link button. All proceeds will go to running the site and hopefully to keep it going for a few years yet.

  • Facebook about us + contact us + citation + translate + site map + scotshop + glossary + etymology +
  • help YouTube

©2026 SCOTCAT.COM