SCOTCAT.COM  

your internet guide to all things catfish
≡
  • HOME
  • FACTSHEETS
    • By Month/Year
    • By Family
    • by Genus
    • by Common Names
    • By Specific Names
    • By Continent
      • Index
      • Africa
      • Asia
      • Australasia
      • Europe
      • North America
      • South America
  • GALLERIES
    • Photo Gallery
    • Art Gallery
    • Movie Gallery
    • Stamps Gallery
  • FAMILIES
    • A-B
      • Ailiidae
      • Akysidae
      • Amblycipitidae
      • Amphiliidae
      • Anchariidae
      • † Andinichthyidae
      • Ariidae
      • Aspredinidae
      • Astroblepidae
      • Auchenipteridae
      • Auchenoglanididae
      • Austroglanididae
      • Bagridae
    • C-D
      • Callichthyidae
      • Cetopsidae
      • Chacidae
      • Clariidae
      • Claroteidae
      • Cranoglanididae
      • Diplomystidae
      • Doradidae
    • H-I
      • Heptapteridae
      • Heteropneustidae
      • Horabagridae
      • Ictaluridae
    • K-L-M
      • Kryptoglanidae
      • Lacantuniidae
      • Loricariidae
      • Malapteruridae
      • Mochokidae
    • N-P
      • Nematogenyidae
      • Pangasiidae
      • Phreatobiidae
      • Pimelodidae
      • Plotosidae
      • Pseudopimelodidae
    • R-S-T
      • Ritidae
      • Schilbeidae
      • Scoloplacidae
      • Siluridae
      • Sisoridae
      • Trichomycteridae
  • ARTICLES
    • Index
    • Breeding
    • By Author
    • Cat-Articles
    • General
    • Numbered List
    • Ichthyology
    • Travel/Collecting
  • IDENT-A-CAT
  • RESOURCES
    • Citation
    • Etymology
    • Fishhouse
    • Glossary
    • Scientific Papers
    • ScotShop
  • SITE MAP
  • FB GROUP
  • HELP
    • Index
    • Catfish Anatomy
    • Convertors
    • FAQ
    • Ident-A-Cat
    • Water Chemistry

Pangasius bocourti Sauvage, 1880

 

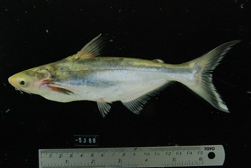
Pangasius bocourti = (location uncertain) From Prey Veng, Prey Veng, Fish market, below the Mekong River, Cambodia- sub adult

 ©  Fishes of Mainland South East Asia

 


Back to Family page Back to Species page


Family: Pangasiidae  Back to Ident-A-Cat  Click on Thumbnails

Click for full image Pangasius bocourti
Juvenile
Click for full imagePangasius bocourti
(location uncertain) From Prey Veng Fish market, below the Mekong River, Cambodia-sub adult
Click for full imagePangasius bocourti
(location uncertain) From Prey Veng Fish market, below the Mekong River, Cambodia-sub adult

 

If you would like to contribute to the monthly factsheets with an article, information or photos, please e-mail me. You will of course be credited for your work.

 

Donate towards my web hosting bill!

 

If you would like to donate any denomination of monies to the site just click the above link button. All proceeds will go to running the site and hopefully to keep it going for a few years yet.

  • Facebook about us + contact us + citation + translate + site map + scotshop + glossary + etymology +
  • help YouTube

©2026 SCOTCAT.COM